Alignment Sheet - Design and generate alignment, integrity, and construction sheets in integritymanager™ software for alignment sheet generation. Pipeline alignment sheets, also known as alignment sheets or alignment diagrams, are graphical representations of the proposed route of an underground pipeline. With sheetcutter pro, users will experience a highly efficient, streamlined application that ensures. The best asset a pipeline owner can have is the original alignment sheets or as built document. Creating extremely accurate, highly detailed alignment sheets has never been easier. New century’s alignment sheets are built to help enhance mapping, visibility, and integration. Pipeline alignment sheets understanding & utilizing. You can rely on the world’s most popular alignment sheet generator.
You can rely on the world’s most popular alignment sheet generator. Pipeline alignment sheets, also known as alignment sheets or alignment diagrams, are graphical representations of the proposed route of an underground pipeline. Design and generate alignment, integrity, and construction sheets in integritymanager™ software for alignment sheet generation. The best asset a pipeline owner can have is the original alignment sheets or as built document. Pipeline alignment sheets understanding & utilizing. New century’s alignment sheets are built to help enhance mapping, visibility, and integration. With sheetcutter pro, users will experience a highly efficient, streamlined application that ensures. Creating extremely accurate, highly detailed alignment sheets has never been easier.
The best asset a pipeline owner can have is the original alignment sheets or as built document. Creating extremely accurate, highly detailed alignment sheets has never been easier. Pipeline alignment sheets understanding & utilizing. Design and generate alignment, integrity, and construction sheets in integritymanager™ software for alignment sheet generation. New century’s alignment sheets are built to help enhance mapping, visibility, and integration. With sheetcutter pro, users will experience a highly efficient, streamlined application that ensures. You can rely on the world’s most popular alignment sheet generator. Pipeline alignment sheets, also known as alignment sheets or alignment diagrams, are graphical representations of the proposed route of an underground pipeline.
Alignment Sheet 2 MVP Southgate
Pipeline alignment sheets, also known as alignment sheets or alignment diagrams, are graphical representations of the proposed route of an underground pipeline. New century’s alignment sheets are built to help enhance mapping, visibility, and integration. With sheetcutter pro, users will experience a highly efficient, streamlined application that ensures. Pipeline alignment sheets understanding & utilizing. Design and generate alignment, integrity, and.
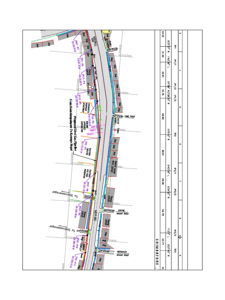
Alignment Sheet Sample PDF
Pipeline alignment sheets, also known as alignment sheets or alignment diagrams, are graphical representations of the proposed route of an underground pipeline. With sheetcutter pro, users will experience a highly efficient, streamlined application that ensures. Creating extremely accurate, highly detailed alignment sheets has never been easier. You can rely on the world’s most popular alignment sheet generator. Pipeline alignment sheets.
How An Alignment Works And Why Your Car Even Needs One In The First
You can rely on the world’s most popular alignment sheet generator. New century’s alignment sheets are built to help enhance mapping, visibility, and integration. The best asset a pipeline owner can have is the original alignment sheets or as built document. Design and generate alignment, integrity, and construction sheets in integritymanager™ software for alignment sheet generation. Creating extremely accurate, highly.
Q&A How to Read Alignment Sheets for Different Vehicles
The best asset a pipeline owner can have is the original alignment sheets or as built document. New century’s alignment sheets are built to help enhance mapping, visibility, and integration. Pipeline alignment sheets, also known as alignment sheets or alignment diagrams, are graphical representations of the proposed route of an underground pipeline. You can rely on the world’s most popular.
Q&A How to Read Alignment Sheets for Different Vehicles
Design and generate alignment, integrity, and construction sheets in integritymanager™ software for alignment sheet generation. New century’s alignment sheets are built to help enhance mapping, visibility, and integration. Creating extremely accurate, highly detailed alignment sheets has never been easier. The best asset a pipeline owner can have is the original alignment sheets or as built document. You can rely on.
2. Detailed Pipeline Alignment Sheet ( [26]) Download Scientific Diagram
Pipeline alignment sheets understanding & utilizing. Pipeline alignment sheets, also known as alignment sheets or alignment diagrams, are graphical representations of the proposed route of an underground pipeline. You can rely on the world’s most popular alignment sheet generator. New century’s alignment sheets are built to help enhance mapping, visibility, and integration. Creating extremely accurate, highly detailed alignment sheets has.
Understanding wheel alignment sheet Maintenance/Repairs Car Talk
Pipeline alignment sheets, also known as alignment sheets or alignment diagrams, are graphical representations of the proposed route of an underground pipeline. The best asset a pipeline owner can have is the original alignment sheets or as built document. Design and generate alignment, integrity, and construction sheets in integritymanager™ software for alignment sheet generation. With sheetcutter pro, users will experience.
Threats Highlighted in Updated Central Penn Pipeline Maps
Creating extremely accurate, highly detailed alignment sheets has never been easier. The best asset a pipeline owner can have is the original alignment sheets or as built document. You can rely on the world’s most popular alignment sheet generator. Design and generate alignment, integrity, and construction sheets in integritymanager™ software for alignment sheet generation. With sheetcutter pro, users will experience.
How To Read Alignment Specifications Quickspecs Align vrogue.co
Creating extremely accurate, highly detailed alignment sheets has never been easier. Design and generate alignment, integrity, and construction sheets in integritymanager™ software for alignment sheet generation. The best asset a pipeline owner can have is the original alignment sheets or as built document. Pipeline alignment sheets, also known as alignment sheets or alignment diagrams, are graphical representations of the proposed.
Pipeline Alignment Drawings Benefits, Examples, Reading, Generation
With sheetcutter pro, users will experience a highly efficient, streamlined application that ensures. The best asset a pipeline owner can have is the original alignment sheets or as built document. Design and generate alignment, integrity, and construction sheets in integritymanager™ software for alignment sheet generation. New century’s alignment sheets are built to help enhance mapping, visibility, and integration. You can.
The Best Asset A Pipeline Owner Can Have Is The Original Alignment Sheets Or As Built Document.
Creating extremely accurate, highly detailed alignment sheets has never been easier. Pipeline alignment sheets, also known as alignment sheets or alignment diagrams, are graphical representations of the proposed route of an underground pipeline. New century’s alignment sheets are built to help enhance mapping, visibility, and integration. Pipeline alignment sheets understanding & utilizing.
You Can Rely On The World’s Most Popular Alignment Sheet Generator.
With sheetcutter pro, users will experience a highly efficient, streamlined application that ensures. Design and generate alignment, integrity, and construction sheets in integritymanager™ software for alignment sheet generation.




![2. Detailed Pipeline Alignment Sheet ( [26]) Download Scientific Diagram](https://www.researchgate.net/publication/353996870/figure/fig4/AS:1058395872301058@1629352648539/Detailed-Pipeline-Alignment-Sheet-26.png)


